WESTERN NORTH PACIFIC: STY 04W(SINLAKU). WARNING 18 ISSUED BY JTWC @13/0900 UTC
TC WARNING GRAPHIC
PROGNOSTIC REASONING
WDPN31 PGTW 130900
MSGID/GENADMIN/JOINT TYPHOON WRNCEN PEARL HARBOR HI//
SUBJ/PROGNOSTIC REASONING FOR SUPER TYPHOON 04W (SINLAKU) WARNING NR
018//
RMKS/
1. FOR METEOROLOGISTS.
2. 6 HOUR SUMMARY AND ANALYSIS.
SUMMARY:
INITIAL POSITION: 12.7N 148.0E
INITIAL INTENSITY: 150 KTS
GEOGRAPHIC REFERENCE: 203 NM EAST-SOUTHEAST OF NAVSTA GUAM
MOVEMENT PAST 6 HOURS: NORTHWESTWARD AT 09 KTS
SIGNIFICANT WAVE HEIGHT: 43 FEET
SATELLITE ANALYSIS, INITIAL POSITION AND INTENSITY DISCUSSION:
ANIMATED MULTISPECTRAL SATELLITE IMAGERY (MSI) DEPICTS A HIGHLY
ORGANIZED SUPER TYPHOON (STY) 04W (SINLAKU) EXHIBITING A
NEAR-PERFECTLY AXISYMMETRIC STRUCTURE. A WELL-DEFINED, WARM (18 C)
15 NM DIAMETER EYE IS ENCASED WITHIN A COHESIVE CENTRAL DENSE
OVERCAST (CDO). THE SIZE OF THE CDO HAS SLIGHTLY DECREASED OVER THE
LAST 6 HOURS, WHICH COMBINED WITH A 3-5 DEGREE COOLING OF THE EYE,
INDICATES A VERY SLIGHT OVERALL WEAKENING, RESULTING FROM AN
ONGOING EYEWALL REPLACEMENT CYCLE (ERC) AND DRY AIR ENTRAINMENT. ON
THE OTHER HAND, THE AMBIENT ENVIRONMENT REMAINS LARGELY FAVORABLE AND
IS CHARACTERIZED BY WARM (28-29 C) SEA SURFACE TEMPERATURES (SST), LOW
(5-10 KTS) VERTICAL WIND SHEAR (VWS) AND A ROBUST RADIAL OUTFLOW.
BASED ON THE CLEARLY DISCERNIBLE EYE IN THE VISIBLE SATELLITE
IMAGERY, THE INITIAL POSITION IS FIXED WITH HIGH CONFIDENCE. THE
INITIAL INTENSITY OF 150 KTS IS SIMILARLY ASSESSED WITH HIGH
CONFIDENCE, A VALUE SUPPORTED BY A CONSENSUS OF ALL AGENCY DVORAK
ESTIMATES AND OBJECTIVE INTENSITY AIDS, WHICH ALL HAVE BEEN VERY
SLOWLY DECREASING OVER THE LAST 6 HOURS.
INITIAL WIND RADII BASIS: OBJECTIVE BEST TRACK
CURRENT STEERING MECHANISM: COMPETING STEERING ENVIRONMENT, WITH AN
EXTENSION OF A NEAR-EQUATORIAL RIDGE (NER) CENTERED TO THE EAST AND
A DEEP-LAYER SUBTROPICAL RIDGE (STR) CENTERED TO THE NORTHWEST
AGENCY DVORAK AND AUTOMATED FIXES:
PGTW: T7.5 - 155 KTS
RJTD: T7.5 - 155 KTS
RCTP: T7.5 - 155 KTS
KNES: T7.5 - 155 KTS
CIMSS SATCON: 139 KTS AT 130600Z
CIMSS ADT: 152 KTS AT 130530Z
CIMSS AIDT: 151 KTS AT 130530Z
CIMSS D-MINT: 149 KTS AT 130346Z
CIMSS D-PRINT: 151 KTS AT 130700Z
FORECASTER ASSESSMENT OF CURRENT ENVIRONMENT: FAVORABLE
VWS: 5-10 KTS
SST: 28-29 CELSIUS
OUTFLOW: STRONG RADIAL
OTHER FACTORS: SLIGHT DRY AIR ENTRAINMENT
ANALYSIS CONFIDENCE:
INITIAL POSITION: HIGH
INITIAL INTENSITY: HIGH
INITIAL WIND RADII: LOW
3. FORECAST REASONING.
SIGNIFICANT FORECAST CHANGES: THERE ARE NO SIGNIFICANT CHANGES TO
THE FORECAST FROM THE PREVIOUS WARNING.
FORECAST DISCUSSION: THE NEAR-TERM INTENSITY FORECAST SUGGESTS THAT
STY 04W HAS ALREADY ATTAINED ITS MAXIMUM INTENSITY AND IS BEGINNING
TO VERY SLOWLY WEAKEN AS IT APPROACHES THE NORTHERN MARIANA
ISLANDS. INCREASING INFLUENCE OF MID-LEVEL DRY AIR ENTRAINMENT,
ONGOING ERC AND REDUCED NORTHEASTWARD OUTFLOW CHANNEL WILL ALL
CONTRIBUTE TOWARD THIS TREND. SOME TEMPORARY INCREASE IN INTENSITY IS
POSSIBLE, HOWEVER, ONLY IF THE SYSTEM SUCCESSFULLY COMPLETES THE ERC.
STY 04W IS EXPECTED TO MAINTAIN AN INTENSITY OF AROUND 135 KTS AT ITS
CLOSEST POINT OF APPROACH TO THE NORTHERN MARIANAS. AFTERWARDS, A
CONTINUOUS AND GRADUAL WEAKENING IS FORECAST THROUGHOUT THE REMAINDER
OF THE CURRENT PERIOD. IN REGARD TO THE TRACK PREDICTION, THE SYSTEM
IS STILL POSITIONED WITHIN A COMPETING STEERING ENVIRONMENT, WITH AN
EXTENSION OF A NER CENTERED TO THE EAST AND A DEEP-LAYER STR CENTERED
TO THE NORTHWEST, WITH THE FORMER ASSUMING THE PRIMARY STEERING ROLE.
THE CPA TO THE MARIANA ISLANDS IS EXPECTED TO OCCUR WITHIN THE NEXT 24
HOURS, WITH THE TRACK POSITIONED BETWEEN THE ISLANDS OF TINIAN AND
SAIPAN. AFTER THAT, STY 04W WILL BEGIN ITS RECURVATURE ALONG THE AXIS
OF THE RIDGE BETWEEN TAUS 48 AND 72. BEYOND TAU 72, THE SYSTEM WILL
CONTINUE TO BE STEERED NORTHEASTWARD BY THE NORTHWARD-BUILDING NEAR-
EQUATORIAL RIDGE, WHICH WILL COINCIDE WITH A MORE PRONOUNCED WEAKENING
TREND DUE TO INCREASINGLY HOSTILE SHEAR, COOLING SEA SURFACE
TEMPERATURES, AND DRY AIR ENTRAINMENT.
MODEL DISCUSSION: NUMERICAL TRACK MODEL GUIDANCE IN THE SHORT TERM
IS ASSESSED WITH MEDIUM CONFIDENCE, AS THE CROSS-TRACK SPREAD
DURING THE CPA TO THE MARIANAS IS CURRENTLY 46 NM, INCLUDING THE
PRIMARY OUTLIER NAVGEM, WHICH POSITIONS THE TRACK BETWEEN ROTA AND
TINIAN. EXCLUDING NAVGEM WOULD RESULT IN A 26 NM SPREAD. OFFICIAL JTWC
TRACK FORECAST IS THEREFORE LAID CLOSE TO THE MULTI-MODEL CONSENSUS
WITH MEDIUM CONFIDENCE, OFFSET SLIGHTLY TO THE NORTHEAST. LONG-TERM
TRACK FORECAST IS ASSESSED WITH LOW CONFIDENCE. WHILE ALL MODELS
CONTINUE TO FAVOR THE RECURVATURE SCENARIO, THE CROSS-TRACK AND
ALONG-TRACK SPREAD ARE VERY HIGH, DUE TO DIFFERENT DEPICTION OF THE
TIMELINE OF THE SYSTEM ROUNDING THE AXIS OF THE RIDGE. IN REGARD TO
INTENSITY, JTWC OFFICIAL FORECAST IS LAID WITH MEDIUM CONFIDENCE
AND CLOSE TO THE HAFS INTENSITY PREDICTION. ALL AVAILABLE CONSENSUS
MEMBERS INDICATE GRADUAL WEAKENING, BUT SOME MODELS (COAMPS-TC AND
GFS PRIMARILY) PREDICT A RAPID WEAKENING OVER THE NEXT 24-36 HOURS,
WHICH DOES NOT HAVE STRONG SUPPORT IN THE ANALYSIS OF THE
ENVIRONMENT.
FORECAST CONFIDENCE:
TRACK 00-72 HR: MEDIUM
TRACK 72-120 HR: LOW
INTENSITY 00-72 HR: MEDIUM
INTENSITY 72-120 HR: MEDIUM//
NNNN
MSGID/GENADMIN/JOINT TYPHOON WRNCEN PEARL HARBOR HI//
SUBJ/PROGNOSTIC REASONING FOR SUPER TYPHOON 04W (SINLAKU) WARNING NR
018//
RMKS/
1. FOR METEOROLOGISTS.
2. 6 HOUR SUMMARY AND ANALYSIS.
SUMMARY:
INITIAL POSITION: 12.7N 148.0E
INITIAL INTENSITY: 150 KTS
GEOGRAPHIC REFERENCE: 203 NM EAST-SOUTHEAST OF NAVSTA GUAM
MOVEMENT PAST 6 HOURS: NORTHWESTWARD AT 09 KTS
SIGNIFICANT WAVE HEIGHT: 43 FEET
SATELLITE ANALYSIS, INITIAL POSITION AND INTENSITY DISCUSSION:
ANIMATED MULTISPECTRAL SATELLITE IMAGERY (MSI) DEPICTS A HIGHLY
ORGANIZED SUPER TYPHOON (STY) 04W (SINLAKU) EXHIBITING A
NEAR-PERFECTLY AXISYMMETRIC STRUCTURE. A WELL-DEFINED, WARM (18 C)
15 NM DIAMETER EYE IS ENCASED WITHIN A COHESIVE CENTRAL DENSE
OVERCAST (CDO). THE SIZE OF THE CDO HAS SLIGHTLY DECREASED OVER THE
LAST 6 HOURS, WHICH COMBINED WITH A 3-5 DEGREE COOLING OF THE EYE,
INDICATES A VERY SLIGHT OVERALL WEAKENING, RESULTING FROM AN
ONGOING EYEWALL REPLACEMENT CYCLE (ERC) AND DRY AIR ENTRAINMENT. ON
THE OTHER HAND, THE AMBIENT ENVIRONMENT REMAINS LARGELY FAVORABLE AND
IS CHARACTERIZED BY WARM (28-29 C) SEA SURFACE TEMPERATURES (SST), LOW
(5-10 KTS) VERTICAL WIND SHEAR (VWS) AND A ROBUST RADIAL OUTFLOW.
BASED ON THE CLEARLY DISCERNIBLE EYE IN THE VISIBLE SATELLITE
IMAGERY, THE INITIAL POSITION IS FIXED WITH HIGH CONFIDENCE. THE
INITIAL INTENSITY OF 150 KTS IS SIMILARLY ASSESSED WITH HIGH
CONFIDENCE, A VALUE SUPPORTED BY A CONSENSUS OF ALL AGENCY DVORAK
ESTIMATES AND OBJECTIVE INTENSITY AIDS, WHICH ALL HAVE BEEN VERY
SLOWLY DECREASING OVER THE LAST 6 HOURS.
INITIAL WIND RADII BASIS: OBJECTIVE BEST TRACK
CURRENT STEERING MECHANISM: COMPETING STEERING ENVIRONMENT, WITH AN
EXTENSION OF A NEAR-EQUATORIAL RIDGE (NER) CENTERED TO THE EAST AND
A DEEP-LAYER SUBTROPICAL RIDGE (STR) CENTERED TO THE NORTHWEST
AGENCY DVORAK AND AUTOMATED FIXES:
PGTW: T7.5 - 155 KTS
RJTD: T7.5 - 155 KTS
RCTP: T7.5 - 155 KTS
KNES: T7.5 - 155 KTS
CIMSS SATCON: 139 KTS AT 130600Z
CIMSS ADT: 152 KTS AT 130530Z
CIMSS AIDT: 151 KTS AT 130530Z
CIMSS D-MINT: 149 KTS AT 130346Z
CIMSS D-PRINT: 151 KTS AT 130700Z
FORECASTER ASSESSMENT OF CURRENT ENVIRONMENT: FAVORABLE
VWS: 5-10 KTS
SST: 28-29 CELSIUS
OUTFLOW: STRONG RADIAL
OTHER FACTORS: SLIGHT DRY AIR ENTRAINMENT
ANALYSIS CONFIDENCE:
INITIAL POSITION: HIGH
INITIAL INTENSITY: HIGH
INITIAL WIND RADII: LOW
3. FORECAST REASONING.
SIGNIFICANT FORECAST CHANGES: THERE ARE NO SIGNIFICANT CHANGES TO
THE FORECAST FROM THE PREVIOUS WARNING.
FORECAST DISCUSSION: THE NEAR-TERM INTENSITY FORECAST SUGGESTS THAT
STY 04W HAS ALREADY ATTAINED ITS MAXIMUM INTENSITY AND IS BEGINNING
TO VERY SLOWLY WEAKEN AS IT APPROACHES THE NORTHERN MARIANA
ISLANDS. INCREASING INFLUENCE OF MID-LEVEL DRY AIR ENTRAINMENT,
ONGOING ERC AND REDUCED NORTHEASTWARD OUTFLOW CHANNEL WILL ALL
CONTRIBUTE TOWARD THIS TREND. SOME TEMPORARY INCREASE IN INTENSITY IS
POSSIBLE, HOWEVER, ONLY IF THE SYSTEM SUCCESSFULLY COMPLETES THE ERC.
STY 04W IS EXPECTED TO MAINTAIN AN INTENSITY OF AROUND 135 KTS AT ITS
CLOSEST POINT OF APPROACH TO THE NORTHERN MARIANAS. AFTERWARDS, A
CONTINUOUS AND GRADUAL WEAKENING IS FORECAST THROUGHOUT THE REMAINDER
OF THE CURRENT PERIOD. IN REGARD TO THE TRACK PREDICTION, THE SYSTEM
IS STILL POSITIONED WITHIN A COMPETING STEERING ENVIRONMENT, WITH AN
EXTENSION OF A NER CENTERED TO THE EAST AND A DEEP-LAYER STR CENTERED
TO THE NORTHWEST, WITH THE FORMER ASSUMING THE PRIMARY STEERING ROLE.
THE CPA TO THE MARIANA ISLANDS IS EXPECTED TO OCCUR WITHIN THE NEXT 24
HOURS, WITH THE TRACK POSITIONED BETWEEN THE ISLANDS OF TINIAN AND
SAIPAN. AFTER THAT, STY 04W WILL BEGIN ITS RECURVATURE ALONG THE AXIS
OF THE RIDGE BETWEEN TAUS 48 AND 72. BEYOND TAU 72, THE SYSTEM WILL
CONTINUE TO BE STEERED NORTHEASTWARD BY THE NORTHWARD-BUILDING NEAR-
EQUATORIAL RIDGE, WHICH WILL COINCIDE WITH A MORE PRONOUNCED WEAKENING
TREND DUE TO INCREASINGLY HOSTILE SHEAR, COOLING SEA SURFACE
TEMPERATURES, AND DRY AIR ENTRAINMENT.
MODEL DISCUSSION: NUMERICAL TRACK MODEL GUIDANCE IN THE SHORT TERM
IS ASSESSED WITH MEDIUM CONFIDENCE, AS THE CROSS-TRACK SPREAD
DURING THE CPA TO THE MARIANAS IS CURRENTLY 46 NM, INCLUDING THE
PRIMARY OUTLIER NAVGEM, WHICH POSITIONS THE TRACK BETWEEN ROTA AND
TINIAN. EXCLUDING NAVGEM WOULD RESULT IN A 26 NM SPREAD. OFFICIAL JTWC
TRACK FORECAST IS THEREFORE LAID CLOSE TO THE MULTI-MODEL CONSENSUS
WITH MEDIUM CONFIDENCE, OFFSET SLIGHTLY TO THE NORTHEAST. LONG-TERM
TRACK FORECAST IS ASSESSED WITH LOW CONFIDENCE. WHILE ALL MODELS
CONTINUE TO FAVOR THE RECURVATURE SCENARIO, THE CROSS-TRACK AND
ALONG-TRACK SPREAD ARE VERY HIGH, DUE TO DIFFERENT DEPICTION OF THE
TIMELINE OF THE SYSTEM ROUNDING THE AXIS OF THE RIDGE. IN REGARD TO
INTENSITY, JTWC OFFICIAL FORECAST IS LAID WITH MEDIUM CONFIDENCE
AND CLOSE TO THE HAFS INTENSITY PREDICTION. ALL AVAILABLE CONSENSUS
MEMBERS INDICATE GRADUAL WEAKENING, BUT SOME MODELS (COAMPS-TC AND
GFS PRIMARILY) PREDICT A RAPID WEAKENING OVER THE NEXT 24-36 HOURS,
WHICH DOES NOT HAVE STRONG SUPPORT IN THE ANALYSIS OF THE
ENVIRONMENT.
FORECAST CONFIDENCE:
TRACK 00-72 HR: MEDIUM
TRACK 72-120 HR: LOW
INTENSITY 00-72 HR: MEDIUM
INTENSITY 72-120 HR: MEDIUM//
NNNN
STY 04W (SINLAKU) reached an estimated peak intensity of 160 knots. SINLAKU is the strongest Western Pacific Typhoon since STY 02W(MAWAR) in 2023 which peaked at 160 knots too.
0426040512 30N1609E 15
0426040518 38N1605E 15
0426040600 43N1603E 15
0426040606 40N1600E 15
0426040612 40N1585E 15
0426040618 40N1570E 15
0426040700 41N1562E 15
0426040706 43N1552E 15
0426040712 50N1541E 15
0426040718 57N1534E 15
0426040800 64N1530E 15
0426040806 75N1533E 20
0426040812 80N1530E 20
0426040818 81N1527E 20
0426040900 81N1524E 25
0426040906 81N1522E 30
0426040912 82N1518E 30
0426040918 83N1515E 35
0426041000 82N1512E 40
0426041006 82N1510E 45
0426041012 80N1509E 55
0426041018 81N1513E 65
0426041100 85N1516E 75
0426041106 88N1516E 80
0426041112 89N1514E 85
0426041118 92N1514E 95
0426041200 98N1512E 115
0426041206 103N1506E 130
0426041212 111N1502E 150
0426041218 116N1495E 160
0426041300 122N1488E 155
0426041306 127N1480E 150
NNNN
0426040518 38N1605E 15
0426040600 43N1603E 15
0426040606 40N1600E 15
0426040612 40N1585E 15
0426040618 40N1570E 15
0426040700 41N1562E 15
0426040706 43N1552E 15
0426040712 50N1541E 15
0426040718 57N1534E 15
0426040800 64N1530E 15
0426040806 75N1533E 20
0426040812 80N1530E 20
0426040818 81N1527E 20
0426040900 81N1524E 25
0426040906 81N1522E 30
0426040912 82N1518E 30
0426040918 83N1515E 35
0426041000 82N1512E 40
0426041006 82N1510E 45
0426041012 80N1509E 55
0426041018 81N1513E 65
0426041100 85N1516E 75
0426041106 88N1516E 80
0426041112 89N1514E 85
0426041118 92N1514E 95
0426041200 98N1512E 115
0426041206 103N1506E 130
0426041212 111N1502E 150
0426041218 116N1495E 160
0426041300 122N1488E 155
0426041306 127N1480E 150
NNNN
@04/13/0837 UTC
DVORAK ANALYSIS @13/0830 UTC
TPPN10 PGTW 130848
A. SUPER TYPHOON 04W (SINLAKU)
B. 13/0830Z
C. 12.80N
D. 147.80E
E. ONE/GK2A
F. T7.0/7.0/W0.5/24HRS STT: S0.0/03HRS
G. IR/EIR
H. REMARKS: 01A/PBO EYE/ANMTN. WMG EYE SURROUNDED BY W YIELDS AN E#
OF 6.0. ADDED 1.0 EYE ADJUSTMENT FOR CMG, TO YIELD A DT OF 7.0. MET
YIELDS 6.5. PT YIELDS 7.0. DBO DT.
I. ADDITIONAL POSITIONS:
13/0304Z 12.42N 148.32E AMS2
THOMPSON
A. SUPER TYPHOON 04W (SINLAKU)
B. 13/0830Z
C. 12.80N
D. 147.80E
E. ONE/GK2A
F. T7.0/7.0/W0.5/24HRS STT: S0.0/03HRS
G. IR/EIR
H. REMARKS: 01A/PBO EYE/ANMTN. WMG EYE SURROUNDED BY W YIELDS AN E#
OF 6.0. ADDED 1.0 EYE ADJUSTMENT FOR CMG, TO YIELD A DT OF 7.0. MET
YIELDS 6.5. PT YIELDS 7.0. DBO DT.
I. ADDITIONAL POSITIONS:
13/0304Z 12.42N 148.32E AMS2
THOMPSON
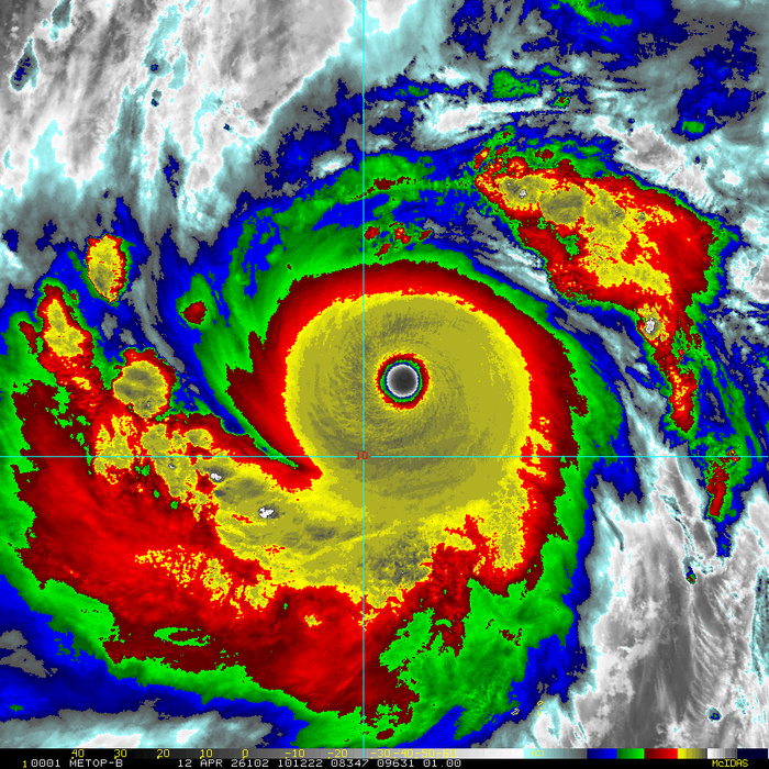
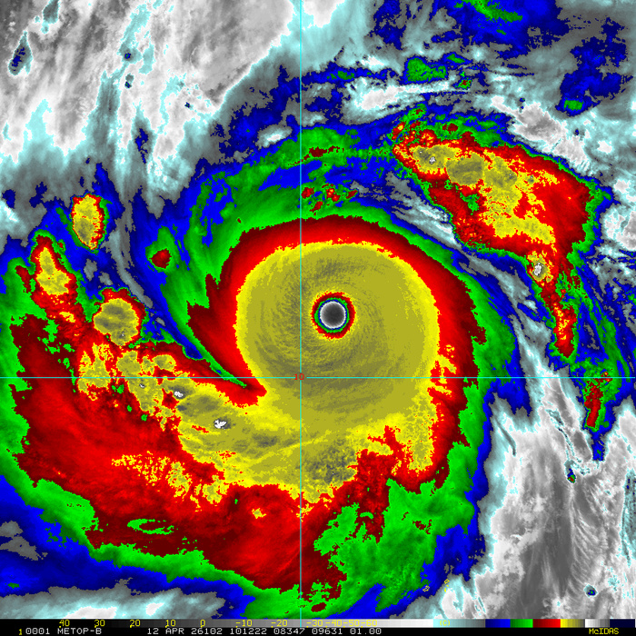
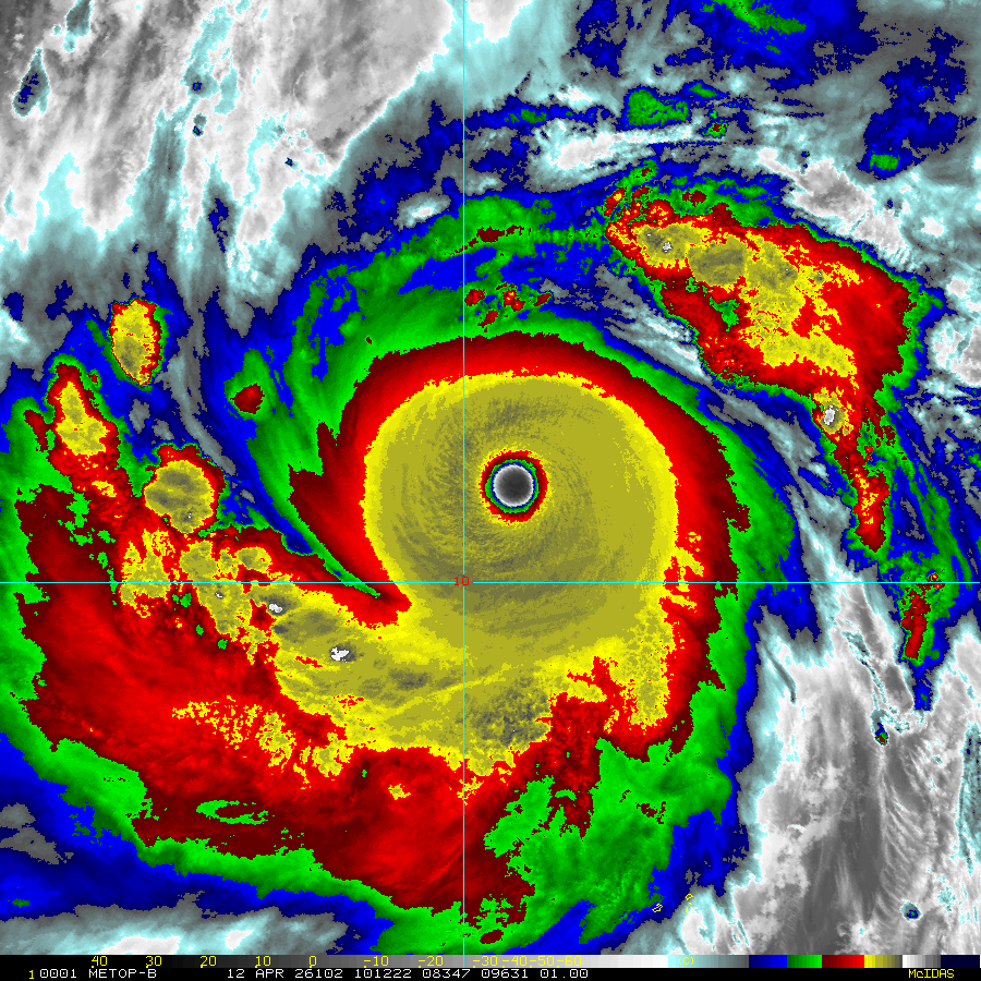
04/12/1012 UTC METOP-B: impressive satellite signature of STY 04W(SINLAKU) undergoing rapid intensification. The estimated intensity was close to 150 knots at the time.
SOUTH PACIFIC: REMNANTS OF TD 30P(MAILA). UPDATED LOCATION AND INTENSITY @13/0000 UTC






















