Les News
WESTERN PACIFIC: TS 05W(HAGUPIT) Environmental conditions forecast to stymie significant intensification/SOUTH INDIAN: INVEST 93S //070930 UTC
05/07/2026
- PATRICK HOAREAU
3 Week Tropical Cyclone Formation Probability//04/29/26
04/29/2026
- PATRICK HOAREAU
3 Week Tropical Cyclone Formation Probability//04/22/26
04/22/2026
- PATRICK HOAREAU
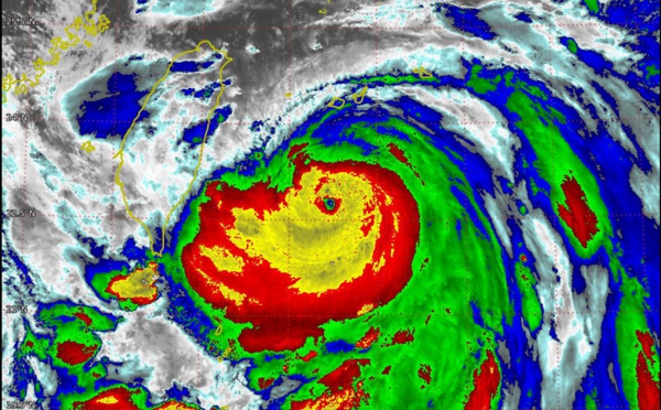
WESTERN PACIFIC: Typhoon 04W(SINLAKU) CAT 1 US is tracking over increasingly cooler seas with ETT forecast to complete by 48h//171000 UTC
04/17/2026
- PATRICK HOAREAU
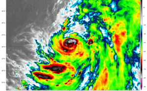
WESTERN PACIFIC: 04W(SINLAKU) CAT 3 US forecast to remain a Typhoon for the next 48h before becoming a strong extratropical storm/SOUTH INDIAN: Invest 92S//161000 UTC
04/16/2026
- PATRICK HOAREAU
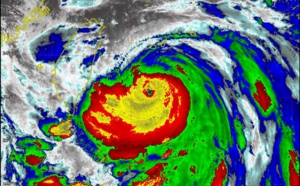
WESTERN PACIFIC: Typhoon 04W(SINLAKU) large and still powerful CAT 3 US, slow mover lead to a prolonged period period of destructive winds over the MARIANAS/ SOUTH INDIAN: Invest 92S//150900 UTC
04/15/2026
- PATRICK HOAREAU
Liens utiles
3 Week Tropical Cyclone Formation Probability//04/29/26
3 Week Tropical Cyclone Formation Probability//04/22/26
WESTERN PACIFIC: Typhoon 04W(SINLAKU) CAT 1 US is tracking over increasingly cooler seas with ETT forecast to complete by 48h//171000 UTC
WESTERN PACIFIC: 04W(SINLAKU) CAT 3 US forecast to remain a Typhoon for the next 48h before becoming a strong extratropical storm/SOUTH INDIAN: Invest 92S//161000 UTC
WESTERN PACIFIC: Typhoon 04W(SINLAKU) large and still powerful CAT 3 US, slow mover lead to a prolonged period period of destructive winds over the MARIANAS/ SOUTH INDIAN: Invest 92S//150900 UTC
S'identifier
